Brought to you by Wisconsin Special Properties LLC
	
	
        
            
	
| 
 | 
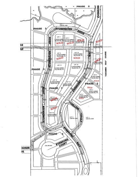
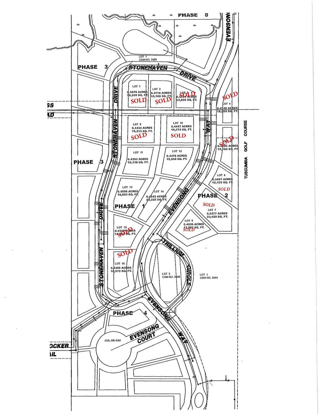
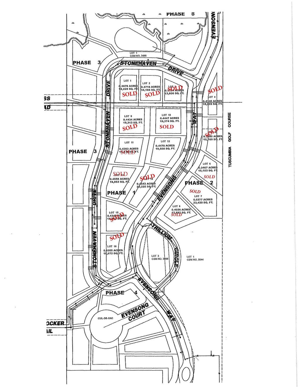
Evensong Estates is Green Lake's newest subdivision set amongst areas of mature hardwood trees and beautiful meadows. Located right in the heart of downtown Green Lake boasting sixteen (16) residential lots having approximately one half acre each in size. Lots are within walking distance of all that Green Lake has to offer: Shops, restaurants, churches, parks (including Hattie Sherwood swimming beach), boat launches, boardwalks, the historic Heidel House Resort and Tuscumbia Golf Course -the oldest golf course in the State of Wisconsin! Each lot offers city sewer and water, gas, electric, cable, sidewalks and protective covenants intended to feel like a private community.
| LAST UPDATED | 7/31/2025 | TRACT | Evensong Estates | 
|---|---|---|---|
| YEAR BUILT | 0 | COUNTY | Green Lake | 
| STATUS | Active | PROPERTY TYPE(S) | Lot/Land/Acreage | 
| School District | Green Lake | 
|---|---|
| Elementary School | Green Lake | 
| Jr. High School | Green Lake | 
| High School | Green Lake | 
| ADDITIONAL DETAILS | |
| LOT | 0.45 acre(s) | 
|---|---|
| LOT DESCRIPTION | Level, On golf course | 
| MLS STATUS | Active | 
| SUBDIVISION | Evensong Estates | 
| TAXES | 1154 | 
| UTILITIES | Natural Gas Available | 
| WATER | Public | 
| ZONING | R1 | 
            MORTGAGE CALCULATOR
        
        TOTAL MONTHLY PAYMENT
0
                    P
                        I 
                    
            *Estimate only
        
    
    Listed with Better Homes and Gardens Real Estate Special Properties
		Information is supplied by seller and other third parties and has not been verified.
Copyright 2025 South Central Wisconsin MLS Corporation. All rights reserved.
IDX information is provided exclusively for consumers’ personal, non-commercial use and may not be used for any purpose other than to identify prospective properties consumers may be interested in purchasing.
This IDX solution is (c) Diverse Solutions 2025.
| SATELLITE VIEW | 
| / | |
	We respect your online privacy and will never spam you. By submitting this form with your telephone number
	you are consenting for Derek
	Kavanaugh to contact you even if your name is on a Federal or State
	"Do not call List".
	
    
 
					   				 Twitter
									        Twitter Facebook
									        Facebook Email
									        Email 
									 
									 
									 
									 
									 
									 
									 
                                
Recent Comments